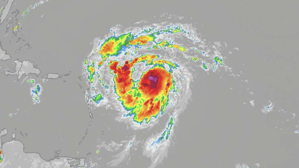
Hurricane Irene, the first Atlantic hurricane of 2025, intensified to Category 5 within 24 hours, the U.S. National Hurricane Center reported.
Sustained winds reached 255 km/h Saturday morning, gaining 96 km/h in just nine hours.
NHC director Mike Brennan called it a “very powerful hurricane threatening the Caribbean region.”











Comments are closed