loader image

Shopping cart

  • Home
  • حدث
  • إعصار “إيرين” يتحول إلى الفئة الخامسة بسرعة قياسية في منطقة الكاريبي
حدث

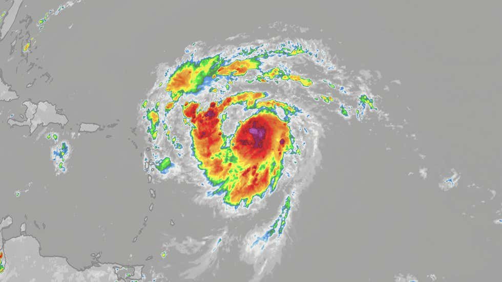
إعصار “إيرين” يتحول إلى الفئة الخامسة بسرعة قياسية في منطقة الكاريبي

اشتدت قوة إعصار “إيرين”، أول إعصار أطلسي لعام 2025، ليبلغ الفئة الخامسة خلال 24 ساعة فقط، وفق المركز الوطني الأمريكي للأعاصير.

ووصلت سرعة رياحه المستمرة إلى 255 كيلومترا في الساعة صباح السبت، بعدما اكتسب 96 كيلومترا إضافيا في غضون تسع ساعات.

مدير المركز، مايك برينان، وصفه بأنه “إعصار قوي للغاية” يهدد منطقة الكاريبي.

Comments are closed

Related Posts