Close
Shopping cart
العربية
English
Português
Español
العربية
تواصل معنا
الأرشيف
من نحن
الاخبار
May 15, 2026
Dark Mode
Light Mode
العربية
English
Português
Español
العربية
تواصل معنا
الأرشيف
من نحن
الاخبار
Home
أغسطس 17, 2025
سياسة
تفجير انتحاري في حلب بسوريا يسفر عن قتيل على الأقل
BY-TMC
أغسطس 17, 2025
سياسة
مظاهرات واسعة في الأراضي المحتلة ضد خطة الاحتلال الإسرائيلي في غزة
BY-TMC
أغسطس 17, 2025
سياسة
ترامب: تقدم كبير مع بوتين حول أوكرانيا وقمة موسعة في البيت الأبيض
BY-TMC
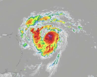
أغسطس 17, 2025
حدث
إعصار “إيرين” يتحول إلى الفئة الخامسة بسرعة قياسية في منطقة الكاريبي
BY-TMC
أغسطس 17, 2025
سياسة
اليمن: الاحتلال الإسرائيلي يقصف مقر قناة المسيرة في صنعاء
BY-TMC
أغسطس 17, 2025
سياسة
انتخابات حاسمة في بوليفيا قد تنهي 20 عاما من حكم اليسار
BY-TMC
أغسطس 17, 2025
حدث
مقتل ثلاثة وإصابة ثمانية في إطلاق نار داخل ناد ليلي بنيويورك
BY-TMC
أغسطس 17, 2025
سياسة
الاحتلال الإسرائيلي يقصف مستشفى الأهلي في غزة ويوقع 42 شهيدا بينهم 22 من طالبي المساعدة
BY-TMC
أغسطس 17, 2025
حدث
فيضانات عارمة تودي بحياة أكثر من 330 شخصا في شمال غرب باكستان
BY-TMC
أغسطس 17, 2025
حدث
الكويت: اعتقال 67 شخصا وضبط مصانع خمور محلية بعد وفاة 23 شخصا
BY-TMC
أغسطس 17, 2025